PT LT H SHELLARD Road

40776371_1
40776371_2
40776371_3
40776371_4
40776371_5
40776371_6

For Sale - $995,000.00

ID#: 28950598

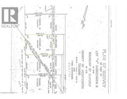
13.6 ACRE WOODED BUILDING LOT! Build your dream home on this picturesque lot at the border of Cambridge. The possibilities are endless. The perfect building envelope has been cleared in the center of a protected forest. Just minutes to major highways, amenities, and schools. Your imagination becomes reality at Shellard Road. Attached a very rough drawing of what could possibly be a building area of 10,000 square meters /approximately 2.5 acres. See last image or attachments. (id:42870)

Property Details

Property Address: PT LT H SHELLARD Road Cambridge, Ontario, N1R5S7

Property Type: Vacant Land

Area Toal:

Waterfront: No

Pool: No

Garage: No


Representative

Bess Assimacopoulos-Markou

Sales Representative

RE/MAX Twin City Realty Inc. Brokerage* - Waterloo

Cell: 519-588-1834

Tel: 519-885-0200

Schedule a Showing